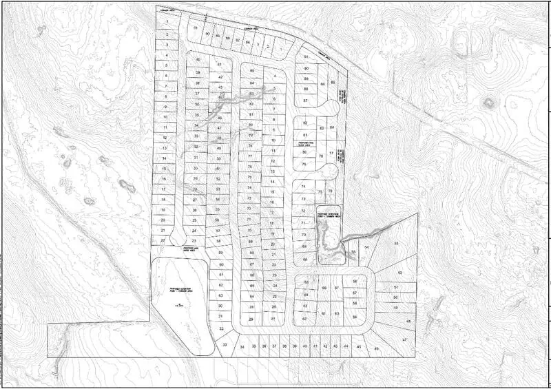
We’re excited to share that earlier this week, we officially closed on our newest acquisition, Baltimore Hill – now part of the Arabella Real Estate Fund – 506 C.
Baltimore Hill consists of 60.2 acres in Huntsville, Alabama. Our development plan (see below) includes 182 residential lots, which will be sold to two nationally recognized homebuilders. The total purchase price for the land was $2,558,500.
Projected GP Fund-Level Returns:
IRR: 86.10%
Equity Multiple: 2.55x
Target Hold Period: 18 Months

